Verkocht

Nieuwstraat 108 4381 CW Vlissingen

147m2
Wonen
5
Kamers
127m2
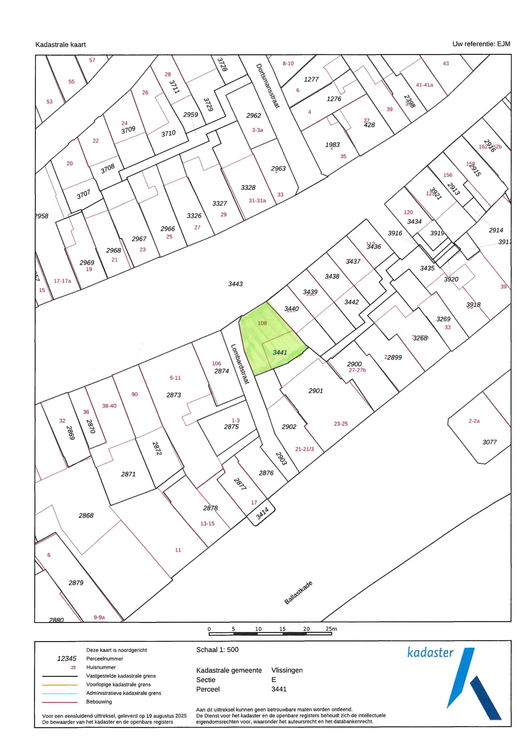
Perceel
1902
Bouwjaar
Als U behalve verhuizen niets meer wilt doen, is dit uw kans!
In het hartje van de binnenstad ligt deze uitstekend onderhouden en charmante ruime hoekwoning met zonnige tuin op het zuiden en garage. De sfeervolle en karakteristieke woning ligt op een rustige locatie in het centrum en op loopafstand van het Bellamypark, haven, centrum, boulevard, strand en winkels. Deze woning is werkelijk perfect afgewerkt, 100% instap klaar en U kunt deze daarom zonder verdere investeringen direct betrekken. Het aanwezige energielabel B is uniek te noemen voor een pand wat oorspronkelijk is gebouwd in 1902!
Begane grond
Entree met garderobe, geheel nieuw verhoogd toilet met design toiletmeubel, trap naar de eerste verdieping en toegang tot de inpandige garage/bijkeuken, welke o.a. is voorzien van een keukenblok met warmwatervoorziening. De gehele inrichting hiervan dateert van juli 2025. Boven deze gehele ruimte bevindt zich een bergzolder, stahoogte 195 cm, toegankelijk is middels een vlizotrap. Vanuit de entree is tevens toegang tot de woonkamer met zit- en eethoek. De eethoek is voorzien van een gezellige haard, terwijl de zithoek is voorzien van een luxe cine-wall. De open keuken is splinternieuw (juli 2025), luxe afgewerkt en voorzien van alle inbouwapparaten: hoge koelkast, hoge vriezer, 2 x een combi oven/magnetron, extra grote spoelbak, vaatwasser, originele quooker combi+ kraan, inductiekookplaat met geïntegreerde afzuiging naar buiten. Deze keuken beschikt bovendien over meer dan voldoende bergruimte. De gehele begane grond is voorzien van een pvc-vloer met vloerverwarming en de woonkamer en keuken van een comfortabele airco (Mitsubishi), voor koeling of verwarming. Deze verwarming is ruim voldoende zodat naar keuze al of niet gebruik gemaakt kan worden van de vloerverwarming. De tuindeuren geven toegang tot de achtertuin en de veranda.

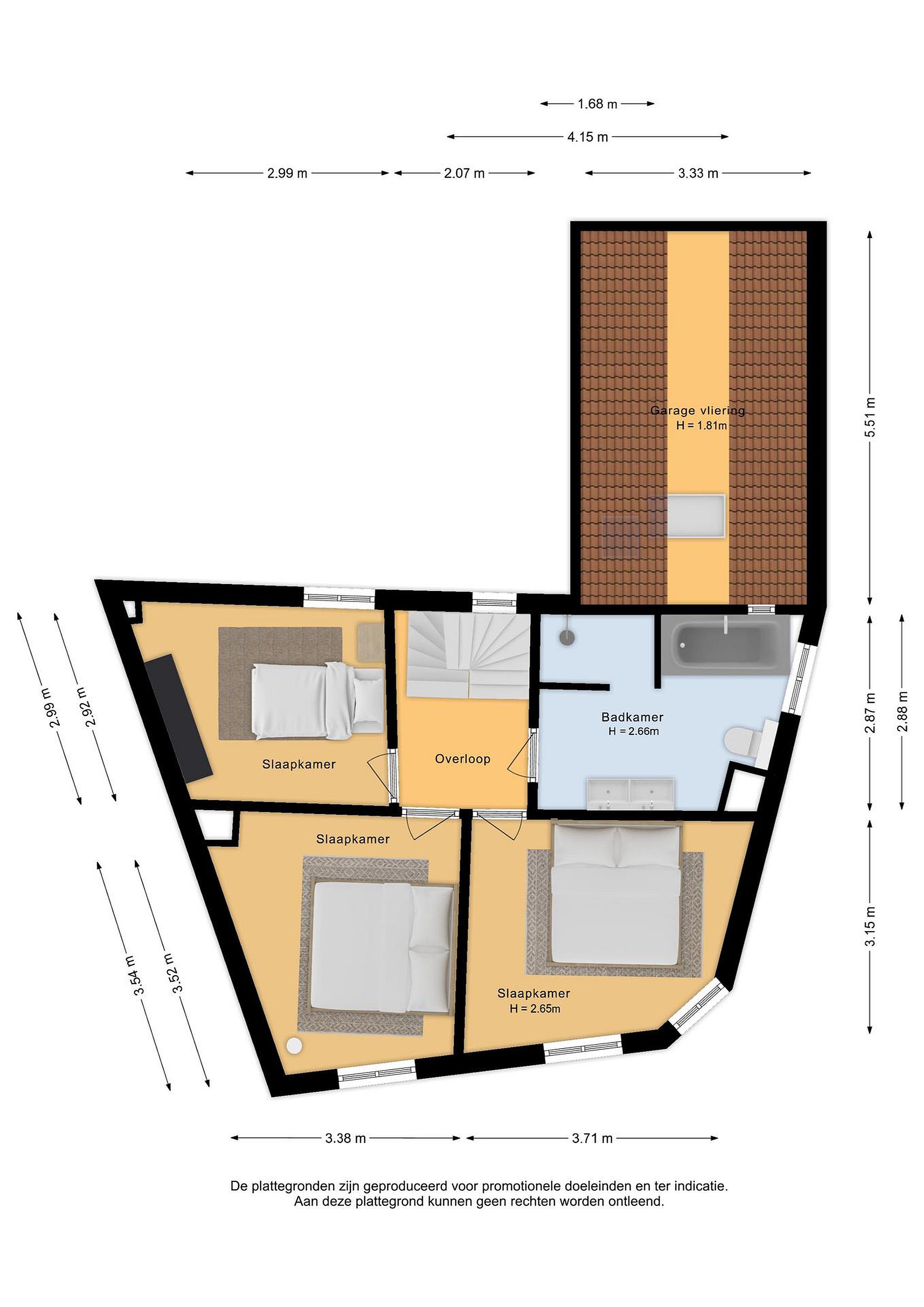
Eerste verdieping
Overloop met de vaste trap naar de tweede verdieping. Er zijn drie fijne slaapkamers aanwezig en de badkamer is modern afgewerkt met een ligbad, een inloopdouche, mechanische afzuiging, een tweede toilet en een dubbele wastafel. Elektrische vloerverwarming zorgt ook hier voor extra comfort. Bovendien is er is het plafond een DAB+ systeem gemonteerd, wat bediend kan worden middels een afstandsbediening.

Tweede verdieping
Overloop met toegang tot een grote aparte waskamer, waarin zich ook de c.v.- installatie bevindt. Ideaal te gebruiken als separate wasruimte. Op deze verdieping is ook een zeer riante slaapkamer met inloopkast aanwezig. Naar wens kan op deze verdieping een aparte slaapkamer, werkkamer of game-room gecreëerd worden.

Tuin
Buiten:
De gezellige stadstuin is zonnig, biedt voldoende privacy, is bovendien voorzien van een grote fraaie overkapping met verlichting en een terras met diverse plantenbakken.

Details
Bijzonderheden:
Bouwjaar 1902, geheel gerenoveerd in ca. 2000.
Energielabel B
C.v.-combiketel (2019)
Beide vaste trappen alsmede de 2e verdieping zijn geheel voorzien van nieuwe vloerbedekking. (juli 2025)
Mitsubishi airco/verwarming
Elektrische rolluiken aan de achterzijde (begane grond)
Parkeren voor de deur (vergunning)

Lees meer

Verkoopgeschiedenis

Aangeboden sinds
12 maart 2026
Verkoopdatum
21 april 2026
Looptijd
één maand

Kenmerken

Overdracht

Prijs per m2
€ 3.190
Aangeboden sinds
12 maart 2026
Status
Verkocht
Aanvaarding
In overleg

Bouw

Soort woonhuis
Herenhuis, hoek woning
Soort bouw
Bestaande bouw
Bouwjaar
1902
Soort dak
Samengesteld dak
Staat van onderhouden binnen
Uitstekend
Staat van onderhouden buiten
Uitstekend

Oppervlakte en inhoud

Perceeloppervlakte
127 m2
Inhoud van de woning
619 m3
Oppervlakte gebouwgebonden buitenruimten
16 m2
Oppervlakte overige inpandige ruimten
24 m2

Indeling

Aantal kamers
5
Aantal slaapkamers
4
Aantal woonlagen
3
Voorzieningen
Tuin, airconditioning

Buitenruimte

Balkon
Nee
Schuur/berging
Nee

Maandlasten berekenen

De maandlasten voor je woning bestaan uit meer dan alleen de hypotheeklasten. Hieronder vind je een overzicht van de bijkomende kosten en lasten. Zo weet je precies wat je huis per maand gaat kosten. En met de handige vergelijkers kun je ook nog eens snel de beste deals sluiten!

  • Kaart
  • Streetview