Verkocht

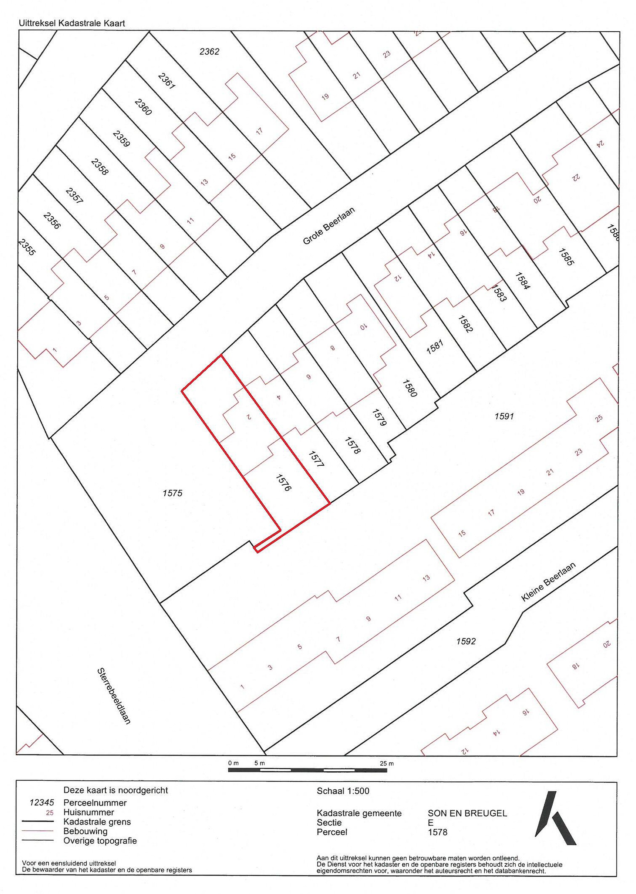
Grote Beerlaan 2 5694 LK Son en Breugel

86m2
Wonen
3
Kamers
259m2
Perceel
1984
Bouwjaar
Op een fijne hoeklocatie in Breugel staat deze woning met eigen oprit, garage en fijne tuin op het zuidoosten. Een huis met sfeer dat u met een frisse blik en wat modernisering volledig naar uw eigen woonwensen kunt transformeren.
Begint uw klussershart al sneller te kloppen? Kom dan snel een kijkje nemen en ontdekt de mogelijkheden die deze woning te bieden heeft!
Begane grond
Begane grond:
Via de voortuin bereikt u de overdekte entree. De hal is afgewerkt met een laminaatvloer, gestucte wanden en een plafond voorzien van spotjes. Hier vindt u de meterkast, trapopgang en de grotendeels betegelde toiletruimte met een staand toilet en fonteintje.
De woonkamer is een fijne, lichte ruimte met een mozaïek parketvloer, wanden voorzien van granolbehang, een gestuct plafond én er is een rookkanaal aanwezig. Extra handig is de trapkast, perfect voor het opbergen van voorraad of huishoudelijke spullen. Dankzij de rolluiken aan de voor- en achterzijde geniet u hier van zowel comfort als privacy.
De keuken staat in een praktische L-opstelling en is voorzien van een laminaatvloer. U beschikt hier over een 4-pits gaskookplaat, afzuigkap, oven en voldoende bergruimte. Tevens bevinden zich hier de aansluitingen t.b.v. de wasapparatuur. Vanuit de keuken is er een loopdeur (met hordeur) naar de tuin.

Eerste verdieping
Via de vaste trap bereikt u de overloop met toegang tot twee slaapkamers, de badkamer en een praktische cv-/bergruimte.
Beide slaapkamers zijn voorzien van behangwanden, houten schroten plafond en rolluiken. Hiervan beschikt 1 slaapkamer nog extra over een vaste wastafel.
De badkamer is verrassend ruim en nagenoeg geheel betegeld. U vindt hier een staand toilet, een douchecabine, een badmeubel met vaste wastafel en een dakvenster voor natuurlijke lichtinval en ventilatie.
Aansluitend de praktische cv-/bergruimte met tegelvloer en dakvenster. Hier staat de HR-combiketel van Nefit (bouwjaar 2005) opgesteld.

Tweede verdieping
Vanaf de overloop heeft u via een vlizotrap toegang tot de royale bergzolder. Deze ruimte is voorzien van een dakraam (Velux) en biedt volop mogelijkheden voor opslag.

Tuin
De achtertuin is grotendeels bestraat en daardoor onderhoudsvriendelijk. Hier vindt u een ruime terrasoverkapping waar u het hele jaar door beschut kunt genieten. Qua bergruimte komt u niets tekort: er staat een houten tuinhuis voorzien van elektra en er zijn nog twee extra houten bergingen. Ideaal voor het opbergen van bijvoorbeeld de kliko’s of het tuingereedschap. Daarnaast zijn er een vijver, achterom en buitenkraantje aanwezig.

Details
- Fijne locatie! Rustig gelegen en tevens op korte afstand van allerhande voorzieningen.
- Hoekwoning.
- Fijne tuin op het zuidoosten met terrasoverkapping.
- 2 slaapkamers.
- Ruime badkamer met volop mogelijkheden.
- Garage met ruime bergzolder.
- Koper dient rekening te houden met moderniseringskosten. Hier is in de prijsstelling rekening mee gehouden.
- Ideale woning voor wie op zoek is naar een woning om volledig naar eigen wens aan te passen.

Locatie:
Deze hoekwoning is gelegen aan een rustige straat in Breugel. Nabij het beschermde Dommeldal natuurgebied en op korte afstand van supermark. Tevens op korte fietsafstand van het centrum Son, verschillende soorten sportaccommodaties en scholen (LO). Eindhoven bereikt u in circa 15 autominuten en de uitvalswegen A2 en A50 zijn ook snel bereikbaar.

Lees meer

Verkoopgeschiedenis

Aangeboden sinds
5 september 2025
Verkoopdatum
14 oktober 2025
Looptijd
één maand

Kenmerken

Overdracht

Prijs per m2
€ 4.391
Aangeboden sinds
5 september 2025
Status
Verkocht
Aanvaarding
In overleg

Bouw

Soort woonhuis
Eengezinswoning, hoek woning
Soort bouw
Bestaande bouw
Bouwjaar
1984
Soort dak
Zadeldak
Staat van onderhouden binnen
Goed
Staat van onderhouden buiten
Goed

Oppervlakte en inhoud

Perceeloppervlakte
259 m2
Inhoud van de woning
434 m3
Oppervlakte gebouwgebonden buitenruimten
8 m2
Oppervlakte overige inpandige ruimten
29 m2

Indeling

Aantal kamers
3
Aantal slaapkamers
2
Aantal woonlagen
2
Voorzieningen
Tuin, schuur/berging, rolluiken, buitenzonwering, rookkanaal, dakraam

Buitenruimte

Balkon
Nee
Schuur/berging
Ja

Maandlasten berekenen

De maandlasten voor je woning bestaan uit meer dan alleen de hypotheeklasten. Hieronder vind je een overzicht van de bijkomende kosten en lasten. Zo weet je precies wat je huis per maand gaat kosten. En met de handige vergelijkers kun je ook nog eens snel de beste deals sluiten!

  • Kaart
  • Streetview