Verkocht

Het Kruisstuk 21 5371 MH Ravenstein

73m2
Wonen
3
Kamers
162m2
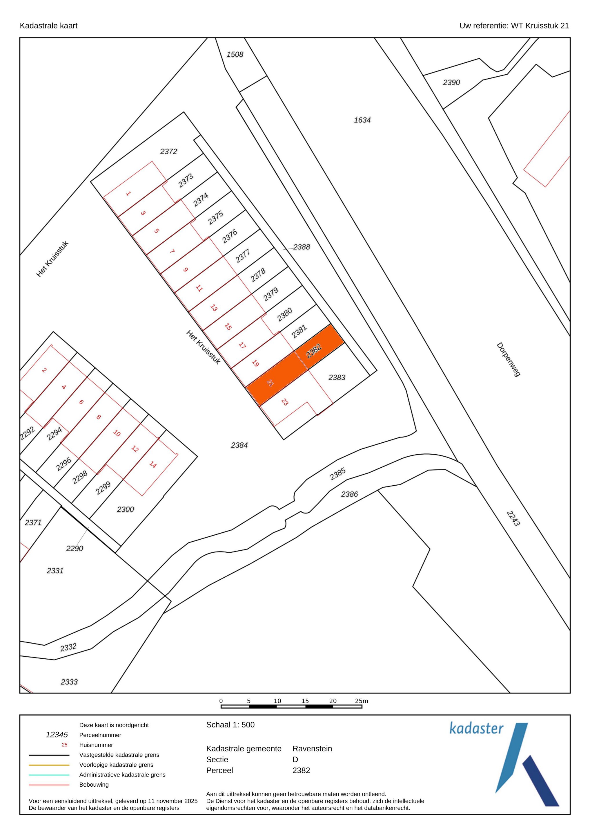
Perceel
2022
Bouwjaar
Instapklare, energiezuinige tussenwoning met luxe afwerking, ideaal voor starters!
Ben je op zoek naar een moderne, gasloze en uiterst energiezuinige woning op een centrale locatie? Dan is deze A+++ tussenwoning precies wat je zoekt! Deze instapklare woning combineert comfort, stijl en duurzaamheid in een jonge, rustige woonwijk.
Bij binnenkomst valt direct de strakke afwerking op: glad gestucte wanden, hoogwaardige pvc-vloeren met hoge plinten en een moderne uitstraling door het hele huis. De luxe, greeploze zwarte keuken is voorzien van alle benodigde inbouwapparatuur en vormt een echte eyecatcher voor kookliefhebbers. De woning beschikt over twee royale slaapkamers en een moderne badkamer met een comfortabele inloopdouche met regendouche, een plek om heerlijk te ontspannen. Via de achterzijde bereik je de vrijgelegen, onderhoudsvriendelijke tuin met een sfeervolle overkapping, perfect voor een loungeset en lange avonden buiten genieten.
De woning ligt in een rustige straat met parkeergelegenheid voor de deur, in een jonge woonwijk met alle voorzieningen binnen handbereik. Op loopafstand bevinden zich het station, de supermarkt en het gezellige centrum van Ravenstein met diverse winkels en horecagelegenheden. Daarnaast bereik je via de A50 binnen korte tijd steden als Nijmegen en ’s-Hertogenbosch. Dankzij het hoge energielabel profiteer je van zeer lage energielasten, wat deze woning niet alleen comfortabel maar ook toekomstbestendig maakt.
Kortom: een perfecte start op de woningmarkt op een centrale, gewilde locatie!
Begane grond
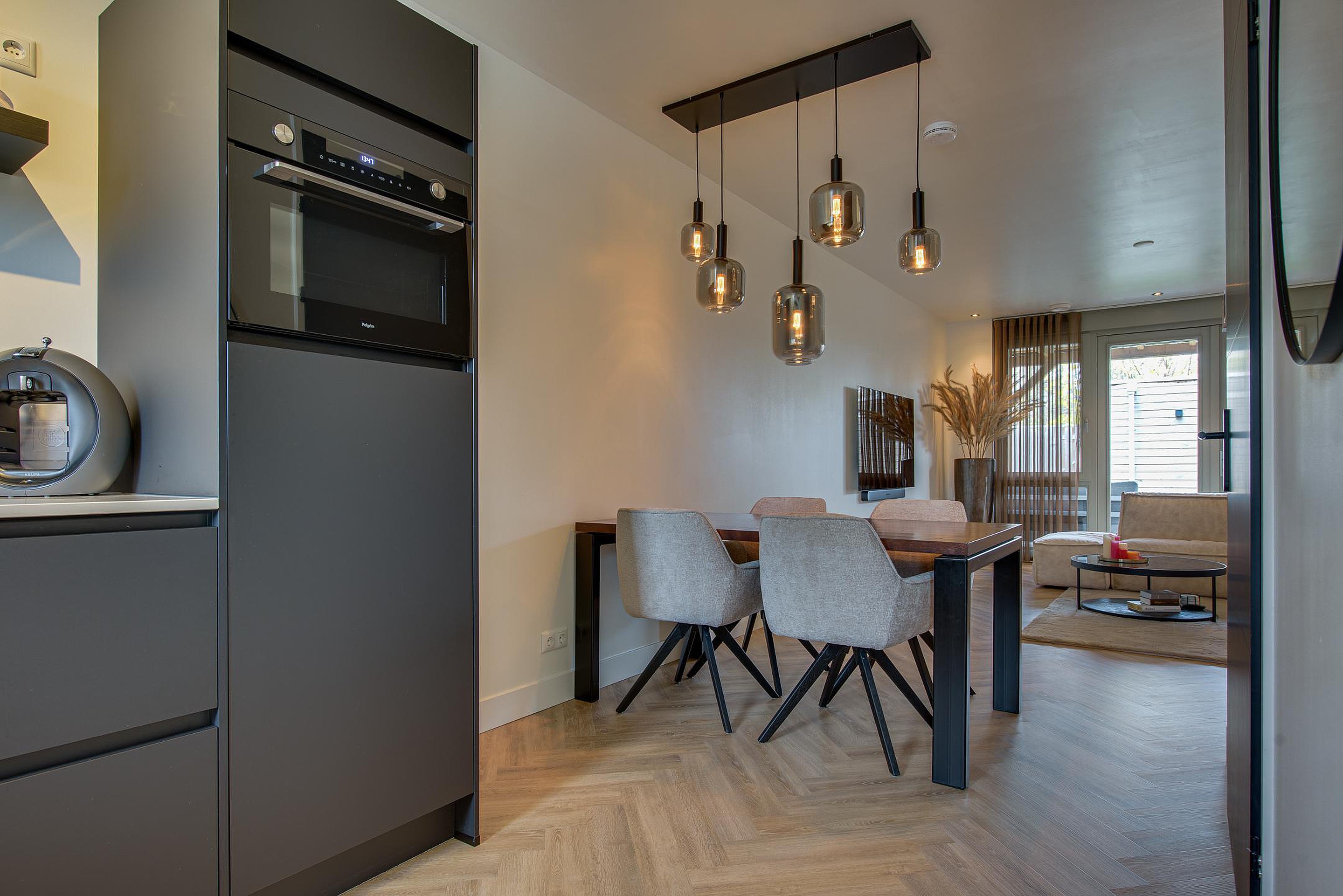
Bij binnenkomst in deze keurig afgewerkte woning wordt u verwelkomd in een nette hal met meterkast (voorzien van 6 groepen van 16 ampère, krachtstroom en drie aardlekschakelaars), een garderobehoek en een modern afgewerkte toiletruimte met wandcloset en fontein. Aansluitend betreedt u de keuken via een zwarte industriële glasdeur (Berkvens). De open keuken ligt aan de voorzijde van de woning en is ingericht met een modern, zwart, greeploos
L-vormig keukenmeubel dat is afgewerkt met een stijlvol marmeren aanrechtblad. U beschikt hier over volop kastruimte en diverse inbouwapparatuur, waaronder een koelkast, een inductiekookplaat met geïntegreerde afzuigkap, een combimagnetron en een vaatwasser.
De woning beschikt over een lichte, sfeervolle woonkamer met een gezellige zithoek (voorzien van inbouwspotjes in het plafond) en ruimte voor een royale eettafel. De strakke pvc-visgraatvloer en de gestucte wanden zorgen voor een moderne en frisse uitstraling. Daarnaast vindt u in de woonkamer een praktische trapkast voor de nodige voorraad, waarin zich tevens de verdeler van de vloerverwarming bevindt. Aan de achterzijde nodigt een dubbele tuindeur u uit naar de overkapping in de achtertuin.

Eerste verdieping
Op de eerste verdieping bevinden zich twee goed bemeten slaapkamers van circa 12 m2 en 10 m2. Beide kamers zijn afgewerkt met een stijlvolle PVC visgraatvloer en strakke wand- en plafondafwerking. In één van de slaapkamers is een moderne schuifkast gerealiseerd, waarachter zich de witgoedaansluitingen bevinden. Deze kamer beschikt bovendien over een Frans balkon.
De moderne badkamer is compleet uitgevoerd met een vaste wastafel, wandcloset, elektrische designradiator en een inloopdouche met luxe regendouche.
Op de overloop bevindt zich daarnaast een praktische berging met de technische installaties. Hier zijn de CO₂-gestuurde WTW-installatie (warmte terugwin unit), de warmtepomp en een extra grote boiler van 180 liter geplaatst, waardoor u verzekerd bent van langdurig comfort bij het douchen.

Tuin
De onderhoudsvriendelijke achtertuin is een heerlijke plek om te genieten.
De fraai aangelegde, op het noordoosten gelegen achtertuin vormt het perfecte sluitstuk van deze woning. U geniet hier van optimale privacy en een stijlvolle, onderhoudsvriendelijke afwerking. De tuin beschikt over een royaal overdekt terras waar u comfortabel kunt loungen of gezellig buiten kunt dineren. De strakke sierbestrating in combinatie met het kustgras zorgt voor een mooie balans tussen comfort en natuurlijke charme. Achter in de tuin bevindt zich een royale houten berging met extra opslagruimte voor tuinmeubilair en gereedschap. De houten schutting en de afgesloten poort zorgen voor een rustige en besloten sfeer.
Kortom: een heerlijke verlenging van de woonruimte, ideaal voor zowel jonge gezinnen als levensgenieters!

Lees meer

Verkoopgeschiedenis

Aangeboden sinds
16 december 2025
Verkoopdatum
30 januari 2026
Looptijd
één maand

Kenmerken

Overdracht

Prijs per m2
€ 4.795
Aangeboden sinds
16 december 2025
Status
Verkocht
Aanvaarding
In overleg

Bouw

Soort woonhuis
Eengezinswoning, tussen woning
Soort bouw
Bestaande bouw
Bouwjaar
2022
Staat van onderhouden binnen
Goed
Staat van onderhouden buiten
Goed

Oppervlakte en inhoud

Perceeloppervlakte
162 m2
Inhoud van de woning
262 m3
Oppervlakte externe bergruimte
6 m2
Oppervlakte gebouwgebonden buitenruimten
11 m2

Indeling

Aantal kamers
3
Aantal slaapkamers
2
Aantal woonlagen
2
Voorzieningen
Tuin, schuur/berging

Buitenruimte

Balkon
Nee
Schuur/berging
Ja

Maandlasten berekenen

De maandlasten voor je woning bestaan uit meer dan alleen de hypotheeklasten. Hieronder vind je een overzicht van de bijkomende kosten en lasten. Zo weet je precies wat je huis per maand gaat kosten. En met de handige vergelijkers kun je ook nog eens snel de beste deals sluiten!

  • Kaart
  • Streetview