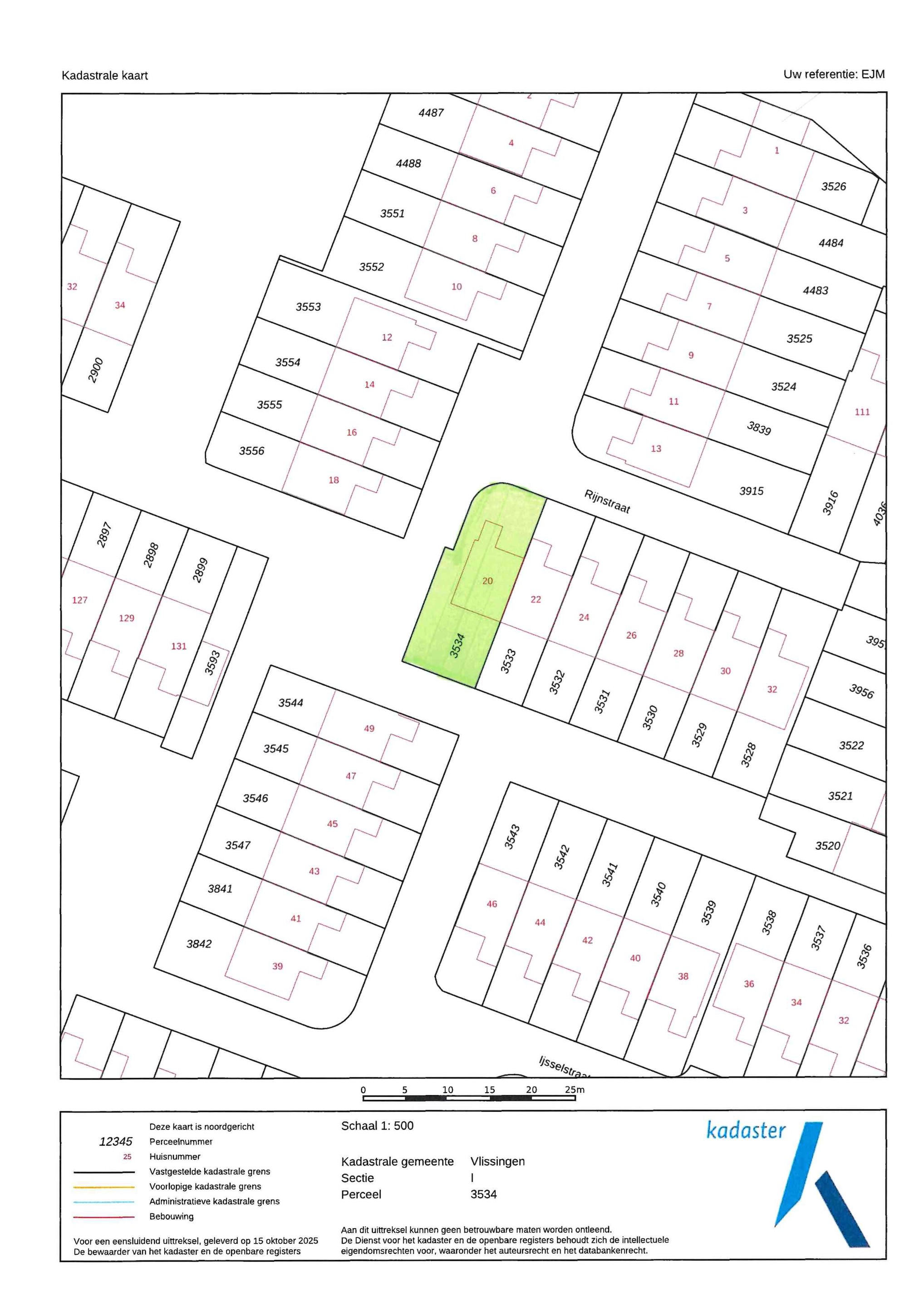
Rijnstraat 20 4388 TV Oost-Souburg

105m2
Wonen
5
Kamers
211m2
Perceel
1975
Bouwjaar
In de kindvriendelijke wijk Schoonenburg staat deze ruime hoekwoning met maar liefst vier slaapkamers en een heerlijke achtertuin. Dankzij de ligging aan een rustige straat geniet u hier van veel privacy. Voorzien van een (fietsen)berging aan de voorzijde en parkeren op eigen terrein.
De wijk Schoonenburg staat bekend om haar rustige, groene karakter en is zeer geschikt voor gezinnen: speelvoorzieningen, scholen en winkels bevinden zich op korte afstand. Ook uitvalswegen en het NS station van Oost-Souburg zijn goed bereikbaar.
Begane grond
Hal met toilet, lichte tuingerichte woonkamer en open keuken. De keuken is voorzien van een gaskookplaat, afzuigkap, vaatwasser en een koel- vriescombinatie.
De trap in de woonkamer naar de eerste verdieping.

Eerste verdieping
Overloop, drie prima slaapkamers en een badkamer met inloopdouche, toilet en dubbele wastafel.

Tweede verdieping
Grote overloop met opstelling van de c.v.-ketel en de vierde slaapkamer met Veluxraam.

Tuin
Aan de voorzijde parkeerruimte voor twee auto’s, zijtuin en achtertuin op het zuidwesten met houten tuinberging.

Details
Algemeen:
Bouwjaar 1975
Woonoppervlakte 105 m2
Perceeloppervlakte 211 m2
Energielabel C
Garantiecertificaat begane grondvloer aanwezig

Lees meer

Kenmerken

Overdracht

Prijs per m2
€ 2.562
Aangeboden sinds
10 april 2026
Status
Beschikbaar
Aanvaarding
In overleg

Bouw

Soort woonhuis
Eengezinswoning, hoek woning
Soort bouw
Bestaande bouw
Bouwjaar
1975
Soort dak
Zadeldak
Staat van onderhouden binnen
Goed
Staat van onderhouden buiten
Goed

Oppervlakte en inhoud

Perceeloppervlakte
211 m2
Inhoud van de woning
400 m3
Oppervlakte externe bergruimte
9 m2
Oppervlakte overige inpandige ruimten
7 m2

Indeling

Aantal kamers
5
Aantal slaapkamers
4
Aantal woonlagen
3
Voorzieningen
Tuin, schuur/berging, ventilatie

Buitenruimte

Balkon
Nee
Schuur/berging
Ja

Maandlasten berekenen

De maandlasten voor je woning bestaan uit meer dan alleen de hypotheeklasten. Hieronder vind je een overzicht van de bijkomende kosten en lasten. Zo weet je precies wat je huis per maand gaat kosten. En met de handige vergelijkers kun je ook nog eens snel de beste deals sluiten!

  • Kaart
  • Streetview