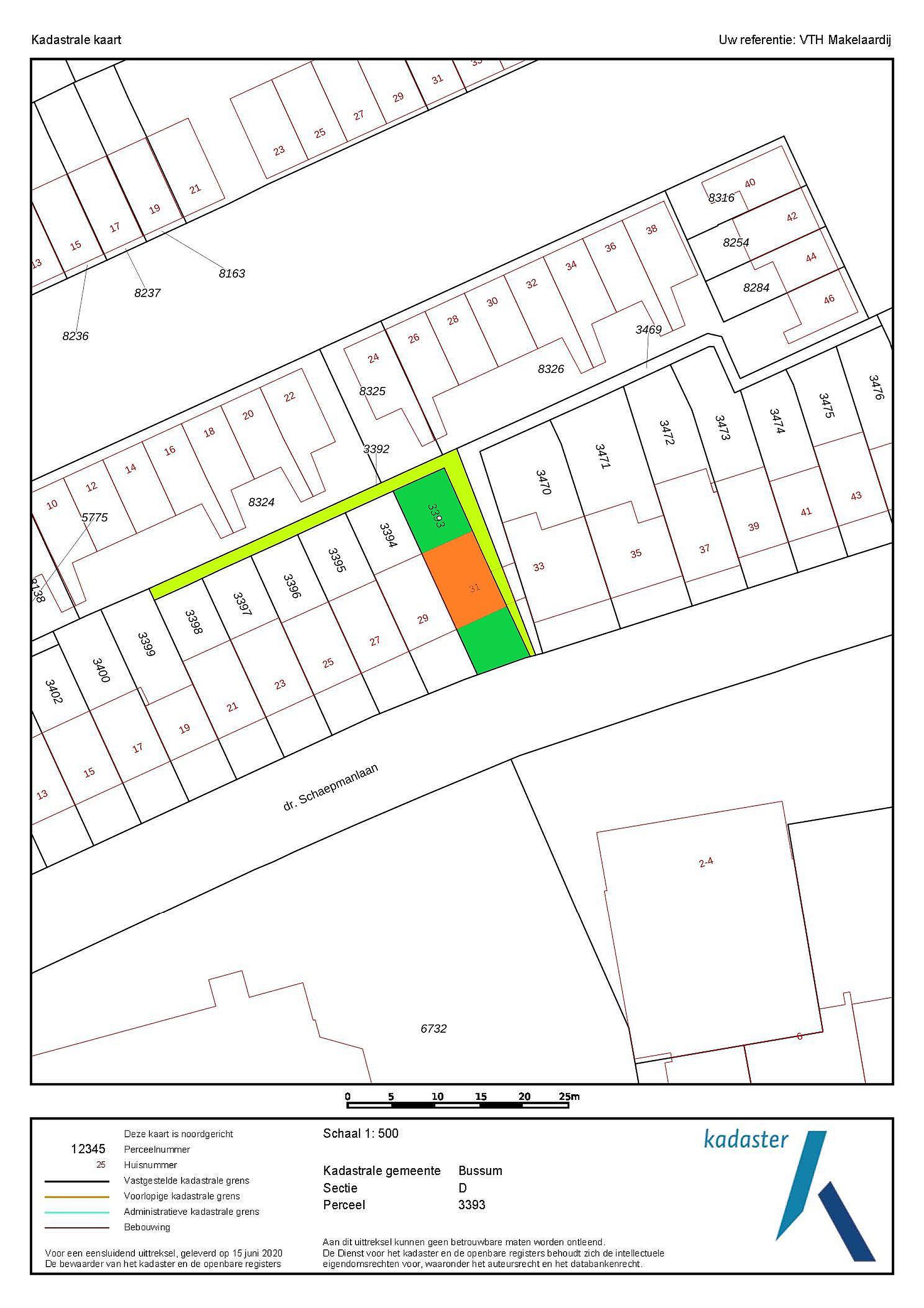
Dr. Schaepmanlaan 31 1402 BR Bussum

90m2
Wonen
4
Kamers
234m2
Perceel
1954
Bouwjaar
Geen zin om de handen uit de mouwen te steken?

Karakteristieke uitgebouwde HOEKWONING gelegen aan een rustige laan met alleen bestemmingsverkeer. Het huis is volledig gemoderniseerd met o.a. een nieuwe keuken, badkamer en sanitair, nieuwe elektrische installatie, radiatoren. Stuc- en schilderwerk allemaal begin 2019 vernieuwd!. Het pannendak is in 2013 vervangen. Deze woning beschikt o.a. over een lichte, over de volle breedte, uitgebouwde woonkamer met fijne open keuken, drie slaapkamers, een badkamer met 2e toilet, bergzolder en een besloten zonnige tuin met berging. Vrij uitzicht voorzijde en parkeren met vergunning van 17:00 – 22:00 uur op werkdagen, de kosten hiervoor bedragen €48,80 op jaarbasis.

Een instapklaar huis gelegen op een fijne lokatie met alle gangbare voorzieningen op loopafstand.
Begane grond
Zodra je deze woning binnenkomt valt je gelijk de goede staat van onderhoud op. Tot in de puntjes verzorgd en altijd met “liefde” voor huis en tuin behandeld. Zo wil je het “zien”.
De hele woning is glad gestuukt, elke kamer is voorzien van dezelfde lichtbruine/grijze klik PVC vloer in houtlook, met hoge plinten. Tevens is er in de hele woning dezelfde kleurstelling en materiaal gebruikt waardoor er “rust” is gecreëerd in de woning.

De entree met hal, trapopgang naar de verdieping, trapkast met bergruimte, moderne meterkast, en luxe toiletruimte met fonteitje, geeft via een op maat gemaakte zwarte tussendeur toegang tot de lichte woonkamer met open keuken.
De uitgebouwde woonkamer is voorzien van een klik PVC vloer, glad gestuukte wanden en keurig net gestuukt plafond. De gedeeltelijke tussenmuur naar de keuken geeft een speels effect met een praktische doorgang. Een grote schuifpui geeft toegang tot de besloten tuin.
In 2019 is een volledig nieuwe keuken geplaatst, mat zwart met een licht grijs werkblad van krasvast kunststof. Deze keuken is voorzien van doorgaans Siemens inbouwapparatuur, waaronder: 4-pits inductie kookplaat, RVS afzuigkap, Quooker (2025) vaatwasser, grote koel-vries combinatie (2024), hete lucht oven en een combi magnetron. De wasmachine en droger zijn hier tevens keurig weggewerkt.

Eerste verdieping
De overloop, met hal, van de eerste verdieping geeft toegang tot 3, in grootte variërende, slaapkamers en de badkamer. Ook hier zijn wanden en plafonds glad gestuukt en ligt dezelfde klik PVC vloer.
De ouder slaapkamer van ca. 14 m2 en de kleinere slaapkamer liggen aan de achterzijde. De derde slaapkamer ligt aan de voorzijde en beslaat ca. 9 m2. De ruime badkamer, met elektrische vloerverwarming, is betegeld met zowel vloer als wandtegels, is voorzien van een inloopdouche, 2e toilet, vaste wastafel in een modern open meubel. Alle leidingen zijn netjes ingefreesd en onzichtbaar.
De raamkozijnen van de slaapkamers zijn voorzien van aluminium schuiframen, praktisch en onderhoudsvriendelijk. Via een vlizotrap in de overloop is de ruime bergzolder bereikbaar.

Tuin
De zonnige en besloten achtertuin van circa 45 m2 met eigen achterom is gesitueerd op het Noord-Westen. Altijd wel een plekje in de zon, of juist in de schaduw te vinden.
De privacy wordt verzekerd door afsluitbare eigen achterom en rondom een schutting en groen blijvende haag, aan de achterzijde aangevuld met twee Leilindes die voor extra privacy zorgen. De vrijstaande gemetselde schuur in de achtertuin, met elektra, heeft met c.a. 6m2 bergruimte voldoende ruimte voor het opslaan van tuinspullen, fietsen etc.

Zowel de voor- / als de achtertuin is beplant met kleurrijke vaste planten, denk aan hortensia's, lavendel, blauwe regen en clematis, wat vanaf het voorjaar gedurende het hele lente- en zomerseizoen voor een prachtig plaatje zorgt.

Details
- Een volledig gerenoveerde, en in 2019 gemoderniseerde hoekwoning.
- Hoogwaardige en luxe afwerking met oog voor stijl en detail.
- Moderne keuken met nieuwe Quooker, koel-/vriescombinatie 2024
- Ruime badkamer met vloerverwarming, inloopdouche, modern stortdouche en douchetoilet
- Begane grond is voorzien van inbouwspots.
- Besloten, zonverzekerde achtertuin aangelegd in 2019.
- Gunstige ligging tov centrum, winkels, scholen en openbaar vervoer.
- Spouw, kruipruimte en zoldervloer geïsoleerd.
- Houten en aluminium kozijnen met isolerend dubbel glas.
- Energielabel C. (22-10-2028).
- Nieuwe moderne elektrische installatie, glasvezel en badkamer ventilatie aanwezig.
- Verwarming en warm water d.m.v. eigen CV HR-ketel Vaillant HR107, bouwjaar 2020.
- Elektrische vloerverwarming in de badkamer.
- Buitenkraantjes aanwezig.
- Zonwering aan de voorzijde.

Ligging en bereikbaarheid:
Deze woning ligt op een perceel van 234m2 aan een rustige, niet doorgaande, weg met alleen maar bestemmingsverkeer. Het uitzicht aan de voorzijde is vrij, parkeren voor de deur met vergunning op werkdagen van 17:00 -22:00 uur. Alle gangbare voorzieningen zijn is de directe omgeving aanwezig, op enkele minuten lopen een grote supermarkt, een park, theater “Het Spant” en Station Bussum-Zuid. Het centrum van Bussum is op 5 minuten fietsafstand bereikbaar met alle leuke winkeltjes, de markt, terrassen en restaurantjes. Scholen, kinderopvang, de Bussummer heide, speeltuin en diverse sportverenigingen, u vindt het allemaal in de buurt.

De uitvalswegen naar de snelweg A1 zijn prima verzorgd, Binnen no-time zijn steden als Amsterdam, Amersfoort en Utrecht bereikbaar.


Lees meer

Kenmerken

Overdracht

Prijs per m2
€ 6.106
Aangeboden sinds
5 maart 2026
Status
Beschikbaar
Aanvaarding
In overleg

Bouw

Soort woonhuis
Eengezinswoning, hoek woning
Soort bouw
Bestaande bouw
Bouwjaar
1954
Soort dak
Schilddak
Staat van onderhouden binnen
Uitstekend
Staat van onderhouden buiten
Uitstekend

Oppervlakte en inhoud

Perceeloppervlakte
234 m2
Inhoud van de woning
351 m3
Oppervlakte externe bergruimte
6 m2
Oppervlakte overige inpandige ruimten
3 m2

Indeling

Aantal kamers
4
Aantal slaapkamers
3
Aantal woonlagen
3
Voorzieningen
Tuin, schuur/berging, kabel-tv, glasvezel, schuifpui

Buitenruimte

Balkon
Nee
Schuur/berging
Ja

Maandlasten berekenen

De maandlasten voor je woning bestaan uit meer dan alleen de hypotheeklasten. Hieronder vind je een overzicht van de bijkomende kosten en lasten. Zo weet je precies wat je huis per maand gaat kosten. En met de handige vergelijkers kun je ook nog eens snel de beste deals sluiten!

  • Kaart
  • Streetview