Verkocht

Bijlstraat 48 1402 PM Bussum

109m2
Wonen
4
Kamers
130m2
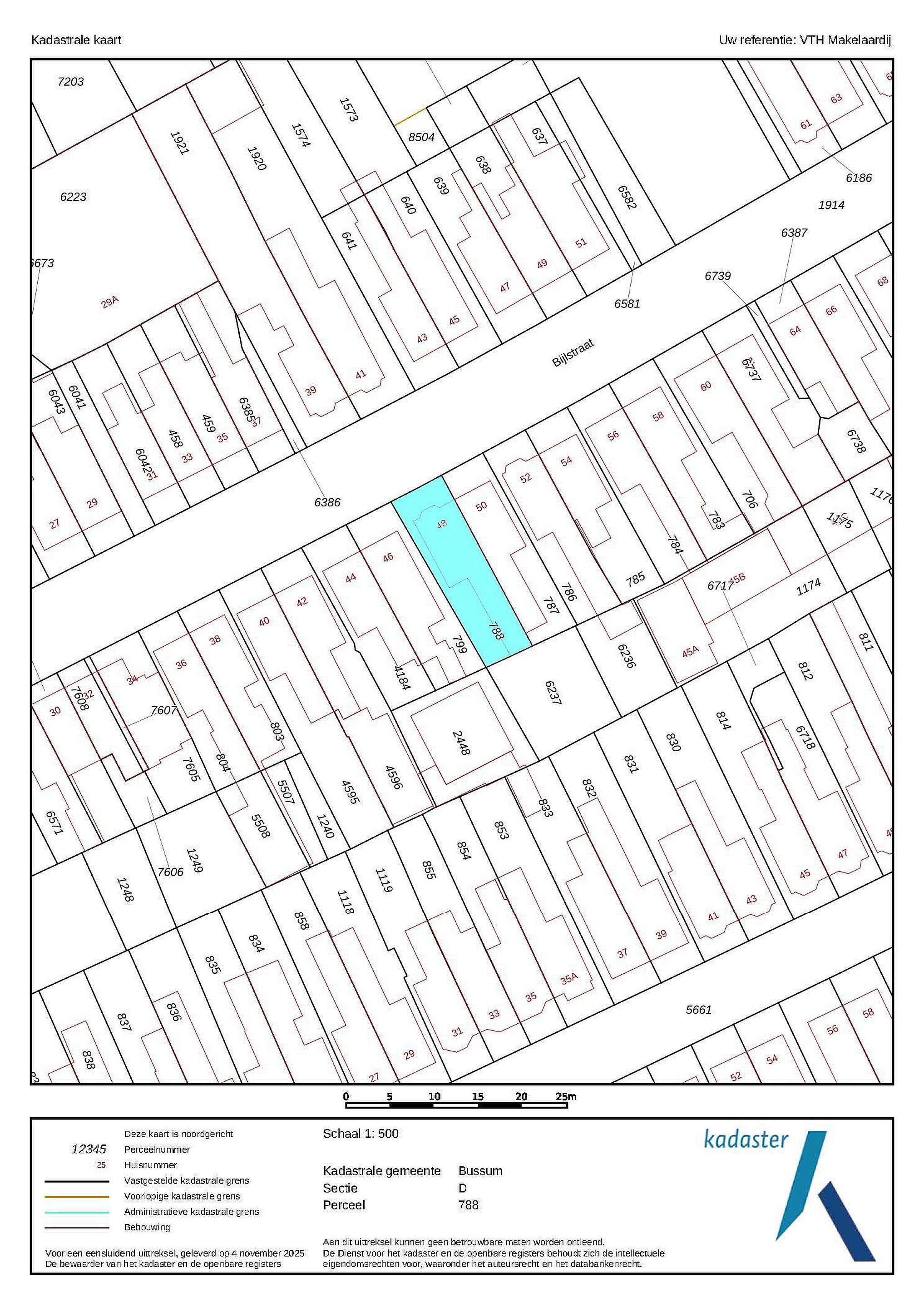
Perceel
1910
Bouwjaar
De Bijlstraat, een van de leukste zijstraatjes van de Laarderweg en op maximaal 5 minuten fietsen van het centrum van Bussum. De straat is een verkeersluwe één-richtingstraat met speelgelegenheden voor kleine kinderen en kenmerkt zich door een diversiteit aan huizen.
Wij bieden u deze karakteristieke twee-onder-één-kap woning aan. Een fijn uitgebouwd gezinshuis met een woonkamer met erker, een moderne open keuken en een extra slaapkamer / werkkamer op de begane grond. Op de verdieping twee slaapkamers en een badkamer, allen van goed formaat. Een bergzolder van ca. 3,5m2 en een stahoge kelder van ca. 8,5 m2 maken het plaatje compleet.
Deze woning ligt mooi centraal dichtbij het centrum van Bussum, het NS-station Bussum-Zuid, en allerlei voorzieningen zoals kinderopvang, scholen en winkels. Met een gebruiksoppervlakte van 109 m2 is dit een ideale woning voor wie op zoek is naar een compleet huis op een super centrale plek.

Een perfecte plek voor starters, alleenstaanden of (jonge) gezinnen.
Begane grond
De overdekte entree mondt uit in de verwarmde gang met trap naar de eerste verdieping en toegang tot de woonkamer met een erker, een leuk bij deze bouwstijl behorend detail, dat de ruimte net even wat speelser maakt. De achter- /eetkamer is voorzien van een groot raam wat zorgt voor een natuurlijke lichtinval. De woonkamer loopt naadloos over in de open moderne keuken ( 2018) met wandopstelling voorzien van o.a. een combi-oven/magnetron, koel-/vries combinatie, een 5 pits gastoestel inclusief een fornuis, afzuigkap en een losse vaatwasser. Het werkblad is van kunststof. De keuken heeft een goede natuurlijke lichtinval vanwege een zijraam met zicht op de achtertuin.
Na de keuken is een tussenhal met separate toiletruimte met een vrij hangend toilet en fonteintje. Vanuit deze tussenhal loopt u zo -via een enkele deur- de tuin in maar heeft u ook toegang tot een aangebouwde slaapkamer / werkkamer met twee openslaande ramen. Onder een deel van de eetkamer is er nog een sta-hoge kelderaanwezig van ca. 8,5m2. De kelder is bereikbaar vanuit de tuin.

Eerste verdieping
De overloop van de eerste verdieping geeft toegang tot twee slaapkamers van goed formaat en een royale badkamer.
Aan de voorzijde bevindt zich de huidige ouderslaapkamer over de volle breedte van de woning en ca. 18 m2 groot. De twee slaapkamer bevindt zich aan zij zijkant van het huis en is ruim 11m2 groot. De badkamer is aan de achterzijde en heeft vloerverwarming, een ligbad, een douchecabine en een vaste wastafel in een meubel met spiegel. Vanuit de badkamer toegang tot een bergruimte met de wasmachine-/droger opstelling en de C.V.-ketel. Voorts is er vanuit de overloop nog toegang tot een 2e separate toiletruimte en via een steektrap toegang tot de bergvliering.

Tuin
De achtertuin is gesitueerd op het zuidwesten met altijd wel een plekje in de zon of juist in de schaduw te vinden. De tuin is volledig bestraat (onderhoudsvriendelijk) maar voor de mensen met groene vingers nog voldoende mogelijkheden om leuk te beplanten. De tuin wordt begrensd door houten schuttingen en een poort naar de entree aan de zijkant met een overkapping voor stalling van fietsen, kliko’s en dergelijke.
De voortuin is netjes en voldoende diep om uw privacy vanaf de openbare weg te waarborgen. Voor de deur is voldoende openbare parkeergelegenheid zonder vergunning.

Details
- Een heerlijke, karakteristieke, 2-1 kap uitgebouwde eengezinswoning gelegen in een zeer gewilde omgeving;
- Ingemeten conform NEN 2580, totale gebruiksoppervlakte 109 m2 over 2 woonlagen, exclusief de bergzolder en de kelderruimte. Voorzien van een slaap / werkkamer op de begane grond met mogelijkheden voor thuiswerken, hobby, toekomstbestendig wonen;
- Goede zonnige tuin, gelegen op het zuidwesten met eigen achterom en volop privacy;
- Houten kozijnen met dubbel glas, dakisolatie en na-isolatie van de gevels aan de binnenzijde;
- De buitengevels zijn uitgevoerd in metselwerk, deels gestuct en de zijgevel is bekleed met hout;
- Energielabel D, geldig tot 11-11-2035;
- Verwarming en warm water d.m.v. HR combiketel, deze ketel dateert uit 2024, is geleased voor een bedrag van € 36,13 per maand (inclusief onderhoudskosten) met een looptijd van 12 jaar;
- Glasvezelaansluiting aanwezig.

De woning ligt op een perceel van 130 m2 in de rustige en verkeersluwe zijstraat van de Laarderweg en aan de andere zijde de Sint Janslaan. Een gewilde, centrale en kindvriendelijke woonomgeving dichtbij de vele voorzieningen die Bussum te bieden heeft. Bussum ligt centraal in het Gooi en heeft twee treinstations en goede busverbindingen. Binnen no time bent u met de auto op de A1, A6 of A27 en zijn steden als Amsterdam, Utrecht, en Amersfoort binnen een straal van 25 km bereikbaar.

Lees meer

Verkoopgeschiedenis

Aangeboden sinds
17 november 2025
Verkoopdatum
2 februari 2026
Looptijd
3 maanden

Kenmerken

Overdracht

Prijs per m2
€ 4.358
Aangeboden sinds
17 november 2025
Status
Verkocht
Aanvaarding
In overleg

Bouw

Soort woonhuis
Eengezinswoning, twee-onder-een-kap woning
Soort bouw
Bestaande bouw
Bouwjaar
1910
Soort dak
Samengesteld dak
Staat van onderhouden binnen
Goed
Staat van onderhouden buiten
Goed

Oppervlakte en inhoud

Perceeloppervlakte
130 m2
Inhoud van de woning
427 m3
Oppervlakte overige inpandige ruimten
12 m2

Indeling

Aantal kamers
4
Aantal slaapkamers
3
Aantal woonlagen
3
Voorzieningen
Tuin, kabel-tv, glasvezel

Buitenruimte

Balkon
Nee
Schuur/berging
Nee

Maandlasten berekenen

De maandlasten voor je woning bestaan uit meer dan alleen de hypotheeklasten. Hieronder vind je een overzicht van de bijkomende kosten en lasten. Zo weet je precies wat je huis per maand gaat kosten. En met de handige vergelijkers kun je ook nog eens snel de beste deals sluiten!

  • Kaart
  • Streetview